1 前言
精准农业技术包含信息获取、信息管理和决策及变量作业3个部分,其中如何方便、快速、准确、可靠地获取作物信息,已经成为实施精准农业最为关键的问题。养分生理指标作为作物内部指标,与作物生长的状态以及产量密切相关。如氮、磷、钾、锌等营养元素与作物生长状态密切相关,缺少任何一种元素都可能会引起植物的不正常生长;而氮、叶绿素含量、冠层参数等指标与作物的产量相关,可以作为作物产量预估指标;当作物受到环境胁迫时,其生理信息和外部形态都会发生改变,如受到病虫害侵染时,作物会作出应激反应产生酶以及某些产物。因此,作物当中一些特定的酶含量、氨基酸含量、蛋白含量的变化反映了作物在逆境中的状况,可以作为作物逆境胁迫响应指标。目前随着光谱传感技术和图像处理分析技术的日益发展,无人机与光谱软硬件的结合也越发纯熟。在农业、林业、资源、生态、环境保护等领域都得到了广泛应用。
作物的光谱特征是环境因子(生物因子和非生物因子)影响的结果。利用光谱和成像技术快速、无损地获取作物的养分生理信息,间接预估作物的产量以及监测作物长势与逆境胁迫响应,有助于实现农业精准化、数字化、信息化以及智能化管理作业。光谱成像技术将光谱分析技术和成像技术结合起来,它既能获取样本的光谱信息也能获取空间信息,并且能同时获取样本的物理特性和化学特性。光谱图像通常是三维(3D)的,由二维的空间信息和一维的光谱信息组成。根据波段的多少,光谱成像技术可以分为多光谱成像技术和高光谱成像技术。通常来说,高光谱成像技术获取的图像由大量连续的波段(几十个或几百个)组成,而多光谱成像技术的图像由一系列离散的波段(一般少于10个)组成。
高光谱图像的光谱分辨率更高,能够更好地获取样本的信息,对于监测作物信息精度更高。然而,由于高光谱图像通常携带有大量的信息,因此需要对数据进行降维,去除冗余信息。高光谱成像技术也有它的局限性,如成本高,处理速度慢等。因此,高光谱成像技术主要用于基础研究。相比高光谱成像技术,多光谱成像技术更适合田间的大面积监测。
2 植被指数
植被指数是一类具有一定生化意义的不同波段光谱值的组合,通常有比值植被指数、线性组合植被指数、修正植被指数、差值植被指数等。不同波段组合的植被指数对于不同指标预测效果不同。在农业上,基于光谱技术检测作物生理指数的波段范围一般在400~2 500 nm之间,涉及到色素(叶绿素、类胡萝卜素等)、氮、水分等吸收和叶片细胞的内部结构。在400~740 nm 可见光波段,叶绿素在480、650、670~680、740 nm 处有吸收峰,类胡萝卜素在 420、425、440、450、470、480 nm均有吸收峰,叶黄素在 425、445、475 nm 有吸收峰。而在 740~1 300 nm 近红外波段由于健康的叶肉细胞反射作用,其反射率急剧升高;作物水分的吸收峰主要集中在970、1 450、1 944 nm 处。因此当作物受到胁迫作用时,相应的氮、色素、酶等发生变化,通过应用各种植被指数监测这些生理指标变化,可判断作物胁迫情况、生长状况以及产量情况。然而,多光谱只有区区几个波段,虽然能构建一些植被指数,但是构建的植被指数未必能反映作物的生理生化信息及长势状态。高光谱则不同,其数百上千个波段信息,即使同一植被指数,也能有成千上万种组合,而这么多种组合以及这么多的植被指数,总能找到适合监测作物的生理生化信息及长势状态的敏感指数。

图1 无人机高光谱影像下作物长势分布图
3 养分指标检测
氮和叶绿素类含量是作物重要的养分指标,与作物产量密切相关。基于光谱和成像技术作物养分信息的获取根据是否直接利用光谱信息可分为基于直接光谱信息作物养分信息快速获取(如逐步多元回归、偏最小二乘、权重系数、支持向量机等)和基于植被指数作物养分信息快速获取。基于直接光谱信息作物养分获取即通过原始光谱处理建模检测作物养分信息,而基于植被指数的养分检测是通过建立植被指数与养分的模型进行分析。
.jpg)
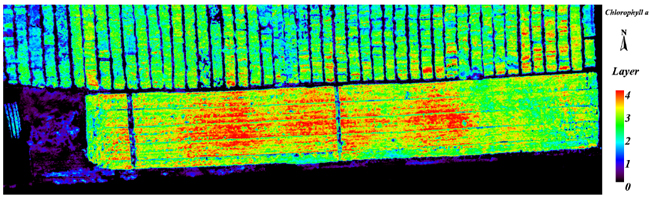
图2 无人机高光谱影像作物叶绿素a分布
.jpg)
图3 无人机高光谱影像作物氮素分布
4 水分胁迫监测
通过光谱和成像技术对作物水分胁迫信息进行快速获取,有利于作物肥水管理的精准化控制。研究者张晓东等应用了多光谱成像技术和高光谱技术研究水分胁迫下油菜叶片的含水率。基于高光谱建立的模型预测结果优于基于多光谱成像建立的模型。

图4 WBI 指数变化(WBI 值越大,植物含水量越高,越利于植物生长)
5 病害胁迫监测
早期作物病虫害诊断对科学防治病虫害,保证作物产量具有重要意义。目前,病虫害诊断可分为直接方法和间接方法。直接方向主要是以化学分析方法为主,
包含聚合酶链反应、DNA 阵列等方法。而间接方法主要是以电子鼻、光谱仪等为主的传感器技术。光谱和成像技术是一种病虫害诊断的快速、无损、有效检测技术。当作物受到病虫害胁迫时,作物内部的生理指标以及外部形态均会发生变化,在光谱和成像技术上以光谱响应与纹理、颜色等特征呈现。因此,光谱和成像技术通过分析某一波段或者多个波段光谱以
及作物图像信息对作物病虫害胁迫作出诊断。此外,用于诊断病虫害的植被指数主要有归一化植被指数、绿色归一化植被指数、比值植被指数、光化学反射、叶片水分植被指数1、水分指数、水分波段指数等。
.jpg)
图5 病害胁迫,越黄发病越严重,越绿发病越轻
6 综述
尽管多光谱、高光谱技术已经成为精准农业信息获取中关键技术,然而仍存在一些问题。
1)基于光谱成像技术作物指标检测模型的稳健性、传递性不高。由于受到作物生理因素(品种、生长阶段等)、环境因素(光照、土壤、温度、降水等)、检测参数、田间管理因素(灌溉、施肥等)、指标之间互相干扰等因素影响,作物指标模型很难涵盖适用所有情况。
2)针对作物胁迫水平的诊断仍存在问题。由于作物病虫害、杂草、水分等胁迫没有统一的评价指标,很难建立定量诊断模型。
农作物生理信息的感知和获取,已经在农业生产、决策和作物生长状态的检测中发挥了重要的作用,已成为精准农业和农业信息化发展的重要内容。在精准农业中,快速无损地获取农作物养分生理信息(氮、叶绿素类、蛋白类、酶类等)仍是农业生产的精准管理和作业研究的重点和难点,相关方法和技术的突破,对实现农业的精准化、数字化、信息化和智能化管理和作业具有重要意义。
地址:无锡市梁溪区南湖大道飞宏路58-1-108
电话:13810664973
邮箱:info@xpjxsb.com
地址:北京市海淀区中关村大街19号
电话:13810664973
邮箱:info@xpjxsb.com
地址:陕西省西安市高新区科技一路40号盛方科技园B座三层东区
电话:13810664973
邮箱:info@xpjxsb.com
地址:成都市青羊区顺城大街206号四川国际大厦七楼G座
电话:13810664973
邮箱:info@xpjxsb.com
地址:深圳市龙华区民治梅龙路
电话:13810664973
邮箱:info@xpjxsb.com